Sign In

Bão Sinlaku đang tăng cấp, không có khả năng đi vào Biển Đông

09:15 13/04/2026

Chọn cỡ chữ A a  

Chỉ sau 2 ngày hình thành, bão Sinlaku đã tăng vọt lên cấp 15, áp sát ngưỡng siêu bão. Dự báo cơn bão còn tiếp tục mạnh lên, sẽ đổi hướng về phía Nhật Bản.

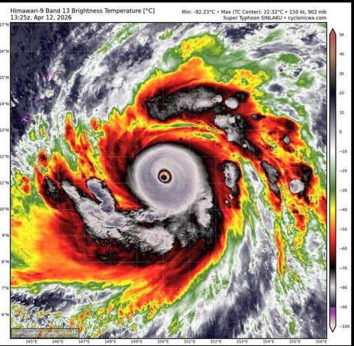
Chiều 12/4, tin từ Trung tâm Dự báo khí tượng thủy văn quốc gia, sau 2 ngày mạnh lên thành bão, đến 13 giờ chiều nay (12/4) bão SINLAKU (cơn bão thứ 4 hoạt động trên khu vực Tây Bắc Thái Bình Dương) có vị trí ở vào khoảng 10.3N 150.7E, cường độ đạt cấp 15 (xấp xỉ cấp siêu bão), giật trên cấp 17 và hiện vẫn còn cách Philippin khoảng gần 3000km.

Dữ liệu quan trắc từ vệ tinh cho thấy Sinlaku đang trong giai đoạn phát triển mạnh. Cấu trúc bão ngày càng hoàn chỉnh với mắt bão hiện rõ, các dải mây đối lưu hoạt động mạnh và hoàn lưu có dạng đối xứng – dấu hiệu điển hình của một cơn bão rất mạnh.

Sinlaku là một trong số rất ít cơn siêu bão xuất hiện ngay trong tháng 4. (Nguồn: NCHMF)

Các chuyên gia khí tượng nhận định môi trường trên đại dương hiện nay đang hỗ trợ tối đa cho quá trình tăng cường của bão. Nhiệt độ mặt nước biển cao, nguồn năng lượng từ đại dương dồi dào, trong khi độ đứt gió trên cao lại thấp, tất cả tạo điều kiện để bão tiếp tục mạnh lên nhanh chóng trong vòng 24 giờ tới.

Theo dự báo, trong 24 giờ tiếp theo, bão sẽ di chuyển theo hướng Tây Bắc với vận tốc khoảng 15 km/h. Khả năng cao Sinlaku sẽ phát triển thành siêu bão, trở thành cơn siêu bão đầu tiên xuất hiện tại khu vực Tây Bắc Thái Bình Dương trong mùa bão năm nay, đồng thời cũng là trường hợp hiếm khi hình thành ngay từ tháng 4.Về cường độ cực đại, cơ quan khí tượng dự báo siêu bão Sinlaku có thể đạt mức cấp 16–17, gió giật trên cấp 17.

Hiện tại các dự báo bão đều cho thấy bão sẽ không có khả năng đi vào khu vực Biển Đông. Trung tâm Dự báo khí tượng thủy văn vẫn đang theo dõi sát diễn biến của siêu bão đầu mùa này.

 

Phòng Thông tin KTTV phục vụ cộng đồng

Ý kiến

Áp thấp nhiệt đới có khả năng mạnh lên thành bão, ít khả năng vào Biển Đông

Áp thấp nhiệt đới có khả năng mạnh lên thành bão, ít khả năng vào Biển Đông

Theo Trung tâm Dự báo khí tượng thủy văn quốc gia, sáng nay (09/4) một vùng áp thấp trên khu vực Tây Bắc Thái Bình Dương đã mạnh lên thành áp thấp nhiệt đới (ATNĐ), vị trí lúc 07 giờ ở vào khoảng 09.0N- 152.2E cách Philippin khoảng gần 3000km, cường độ hiện tại mạnh cấp 7, giật cấp 9.

Đợt nắng nóng diện rộng đang diễn ra trên cả nước

Theo dự báo của Trung tâm Dự báo khí tượng thủy văn quốc gia, do ảnh hưởng của hoàn lưu vùng thấp nóng phía Tây cộng với tác động của hiệu ứng gió phơn hoạt động mạnh từ ngày 3/4 ở khu vực Trung Bộ từ Thanh Hóa-Tp. Đà Nẵng, phần phía Đông của tỉnh Quảng Ngãi, Gia Lai đã xảy ra nắng nóng và nắng nóng gay gắt trên diện rộng
Tháng 4 xâm nhập mặn có xu hướng gia tăng tại Đồng bằng sông Cửu Long

Tháng 4 xâm nhập mặn có xu hướng gia tăng tại Đồng bằng sông Cửu Long

Theo Trung tâm Dự báo khí tượng thủy văn quốc gia, dự báo trong tháng 4, xâm nhập mặn tại khu vực Đồng bằng sông Cửu Long có xu hướng gia tăng. Ranh mặn 4 g/lít có thể lấn sâu tới khoảng trên 50 km.